
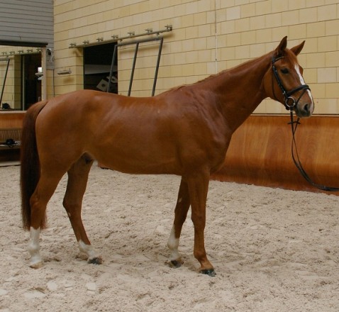
Brentano M von Belissimo M a.d.St.Pr.St. Wondergirl – VERKAUFT -
Fuchswallach von Belissimo a.d. Wondergirl von Weltmeyer x Shogun xx.
Dieser nun vierjährige Wallach wurde angeritten und überrascht wie seine Vollschwester Belissima durch Lernbereitschaft und Unerschrockenheit. Brentano ist unerschrocken und sehr rittig.
Der Vater “Belissimo M” war unter anderem Auktionsspitze in Verden, Hengstleistungsprüfungssieger, Bundeschampion sowie Finalist der Weltmeisterschaften der Dressurpferde.
Bisher wurden 30 Söhne gekört. In der Zuchtwertschätzung Dressur der FN wird Belissimo mit 169 Punkten geführt
Seine Mutter St.Pr.ST. Wondergirl von Weltmeyer x Shogun xx entstammt aus einer der besten Stutenstämme Hannovers.Nachkommen von Wondergirl sind nachweislich im Dressursport hoch platziert. Züchterisch konnte Wondergirl bereits durch zwei gekörte Hengste – Rusty von Rubinstein und San World von Sandro Hit – sowie durch hochprämierte Fohlen im Zuchtgebiet Hannover überzeugen.
Besonders überzeugt zwischenzeitlich Belissima M, die derzeit von der mehrfachen Olympiamedaillengewinnerin der Paraolympics, Hannelore Brenner, geritten wird.
Brentano M, Nachwuchs für den Dressursport.
| Belissimo M | Beltain | Bolero |
| St.Pr.St. Gänseliesel | ||
| St.,Pr.St. Roxa | Romadour II | |
| Lady | ||
| Wondergirl | Weltmeyer | World Cup I |
| St.Pr. St. Anka | ||
| St.Pr.St. Shining Sun | Shogun xx | |
| Arabella |




